Local Service Overview

Get Black Ant Extermination in Galena Park, TX

Black Ant Extermination services for property owners in Galena Park, TX, typically address ant infestations, prevent future outbreaks, and handle residential or commercial pest control projects.

Galena Park, TX

Black ant extermination services are a practical solution for property owners in Galena Park, TX seeking to maintain a comfortable and safe living environment. These services help prevent ant infestations that can disrupt daily activities and compromise the safety of residents, especially in homes and businesses. By addressing these issues promptly, property owners can enjoy a more functional space with reduced concerns about pests, ensuring peace of mind and a more inviting environment.

Choosing professional ant extermination also offers benefits related to durability and curb appeal. Effective treatments can eliminate existing colonies and prevent future invasions, leading to longer-lasting results that reduce the need for frequent interventions. Additionally, a pest-free property enhances its visual appeal, making it more attractive to visitors and potential buyers. Engaging experienced local service providers can help achieve these outcomes efficiently and reliably.

Get Black Ant Extermination Quotes

  • Black Ant Extermination services are recommended when ant colonies invade residential or commercial properties in Galena Park, TX and surrounding areas.
  • These services are suitable for situations where black ants are found indoors or around building foundations, causing nuisance or potential damage.
  • Professional exterminators can assist with infestations in kitchens, basements, or outdoor landscaping near Houston and nearby communities.
  • Black ant control may be needed when ant trails are visible across surfaces or when ants are difficult to eliminate with DIY methods.
  • Contacting local pest control providers is advised for persistent or widespread black ant problems in the Galena Park region.

Get Black Ant Extermination Quotes

Black Ant Extermination
Black Ant Extermination
Black Ant Extermination

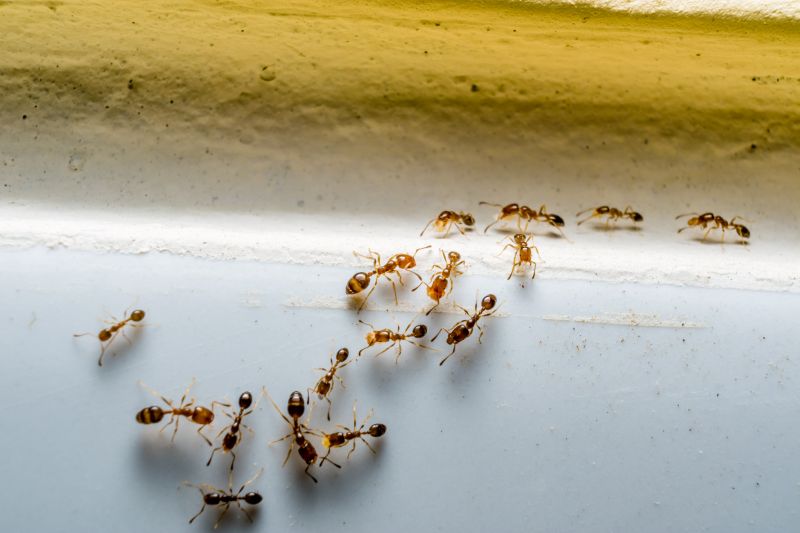
Black ant extermination services focus on identifying and eliminating black ant infestations within residential, commercial, and industrial properties. These services typically involve thorough inspections to locate nests and entry points, followed by targeted treatments using specialized products designed to control and eradicate ant colonies. Exterminators may employ various methods such as baiting, dusting, and residual sprays to ensure comprehensive coverage and long-lasting results. The goal is to remove existing ant populations and reduce the likelihood of future invasions by addressing the sources and pathways of infestation.

Black ants can pose significant problems for property owners by invading kitchens, pantries, and other areas where food is stored. Their presence can lead to contamination of food supplies and create an unsanitary environment. Additionally, large colonies can cause structural damage, especially if they establish nests within wall voids or under foundations. The persistent nature of black ant colonies makes professional extermination essential for effective control, as DIY methods may only provide temporary relief or fail to eliminate the entire colony.

Properties that commonly utilize black ant extermination services include single-family homes, apartment complexes, restaurants, grocery stores, and office buildings. Residential properties often seek treatment to prevent food contamination and maintain a clean living environment. Commercial properties, especially those involved in food handling and preparation, prioritize pest control to meet health standards and avoid business disruptions. Industrial facilities with large storage areas may also require professional intervention to manage ant populations that could compromise stored goods or infrastructure.

Engaging with local pest control providers for black ant extermination can help property owners address infestations efficiently and effectively. Professionals assess the extent of the problem, recommend appropriate treatment plans, and implement targeted solutions to eliminate black ants from the property. By connecting with experienced local service providers, property owners can find tailored pest management options suitable for their specific needs and property types, ensuring a pest-free environment.

The overview below groups typical Black Ant Extermination projects into broad ranges so you can see how smaller, mid-sized, and larger jobs often compare in Galena Park, TX.

In many markets, a large share of routine jobs stays in the lower and middle ranges, while only a smaller percentage of projects moves into the highest bands when the work is more complex or site conditions are harder than average.

Initial Inspection - The cost for a black ant extermination inspection typically ranges from $100 to $250. This fee covers a thorough assessment of the affected areas to identify ant activity and nesting sites.

One-Time Treatment - A single treatment for black ant control can cost between $150 and $300, depending on the size of the property and severity of the infestation. This usually includes application of targeted insecticides to eliminate the colony.

Ongoing Maintenance - Ongoing or follow-up treatments generally range from $50 to $150 per visit. Regular maintenance may be recommended to prevent future ant problems.

Property Size and Complexity - Costs may vary based on property size, with larger or more complex sites potentially costing up to $500 for comprehensive extermination services. Local pros can provide estimates tailored to specific needs.

Actual totals will depend on details like access to the work area, the scope of the project, and the materials selected, so use these as general starting points rather than exact figures.

Get a Black Ant Extermination Quote

Black Ant Extermination services involve professionals specializing in identifying and removing black ant colonies from residential and commercial properties in Galena Park, TX. Local pros use targeted methods to eliminate infestations and prevent future issues.

Black Ant Control experts provide effective solutions to reduce black ant populations, utilizing techniques tailored to the specific needs of each property in the nearby area.

Ant Baiting and Removal services focus on strategically placed bait stations to attract and eliminate black ants, helping to control the infestation efficiently.

Infestation Prevention specialists offer advice and treatment options to help property owners minimize the risk of black ant re-infestation over time.

Residential Black Ant Extermination services address black ant problems in homes, ensuring safe and thorough removal in the Galena Park, TX area.

Commercial Black Ant Services are available for local businesses seeking professional assistance in managing and eradicating black ant issues effectively.

Black Ant Extermination

When evaluating local professionals for Black ant extermination services, experience is a key factor to consider. Homeowners should look for service providers with a proven track record in pest control, particularly in handling ant infestations similar to those in Galena Park, TX. Reputable local pros often have extensive knowledge of ant behaviors and effective treatment methods, which can lead to more efficient and lasting results. It’s beneficial to review any available information about their history in the community, the types of ant issues they've addressed, and their familiarity with the local environment.

Clear communication and well-defined expectations are essential when working with pest control providers. Pros should be transparent about the scope of services, the methods they use, and what homeowners can expect during and after treatment. Reputable local service providers typically provide written outlines of their procedures and follow-up plans, helping homeowners understand the process and avoid surprises. Open dialogue ensures that questions are addressed promptly and that homeowners have realistic expectations about the outcomes of the extermination efforts.

References and reputation play a significant role in selecting a reliable pest control professional. Homeowners are encouraged to seek out local providers with positive feedback from previous clients, which can often be verified through online reviews or community recommendations. Reputable pros tend to have a history of satisfied customers and transparent communication, making it easier to trust their expertise. Since the site introduces local options without performing the work itself, it is recommended to contact multiple providers to compare their experience, communication style, and references before making a decision.

Get a Black Ant Extermination Quote

Property owners in Galena Park, TX use Black Ant Extermination services for practical projects around their homes and businesses. The sections below highlight everyday jobs and straightforward project options.

Black Ant Extermination
Black Ant Extermination

Black ant extermination services are often sought by property owners in Galena Park, TX who notice persistent ant activity around their homes or businesses. Common situations include encountering large ant colonies in kitchens, basements, or outdoor areas, especially during warmer months when ants become more active. Property owners may also want to prevent potential damage or contamination caused by ant infestations, making professional extermination a practical solution to maintain a clean and pest-free environment.

In addition to visible ant nests, property owners might look for extermination services after experiencing increased ant sightings or if previous DIY efforts have failed to eliminate the problem. Ant infestations can sometimes indicate underlying issues, such as moisture problems or entry points that need sealing. Local service providers can assess the situation and implement targeted treatments to help keep properties in Galena Park pest-free, supporting a comfortable and hygienic living or working space.

Get a Black Ant Extermination Quote

Why are black ants a problem? Black ants can invade homes and properties in search of food and water, potentially causing nuisances and contamination.

What methods do exterminators use to eliminate black ants? Local service providers often use targeted treatments, baits, and barriers to effectively control black ant infestations.

How can I prevent black ant problems in the future? Keeping your property clean, sealing entry points, and removing food sources can help reduce the likelihood of black ant invasions.

Are black ant extermination services safe for pets and children? Most professional treatments are designed to be safe when applied properly; it's best to consult with a local provider about specific safety measures.

How do I find local black ant extermination services in Galena Park, TX? Contact local pest control providers to schedule inspections and treatments tailored to your property’s needs.

Black Ant Extermination Methods - Local pest control providers can assess the extent of ant infestations and recommend appropriate treatment options.

Natural and Chemical Treatments - Service providers may utilize both natural and chemical solutions to effectively eliminate black ants from residential or commercial properties.

Preventative Ant Control - Professionals can implement strategies to reduce the likelihood of future black ant invasions through sealing entry points and ongoing monitoring.

Customized Pest Management Plans - Local experts can develop tailored plans based on property size, location, and severity of the infestation to ensure effective black ant removal.

Black Ant Extermination

Considering Black Ant Extermination for a property in Galena Park, TX? The sections above highlight common project types, practical options, and details that often shape the scope of work.

When you are ready, use the quote form to share a few details about your project. Local pros can review the basics and respond with options that match what you have in mind.

Get a Black Ant Extermination Quote

Black Ant Extermination Quotes

Our Trusted Partners
Cantu Pest Control
Orkin
Hawx Pest Control