Local Service Overview

Get Ants Extermination Service in Cypress, TX

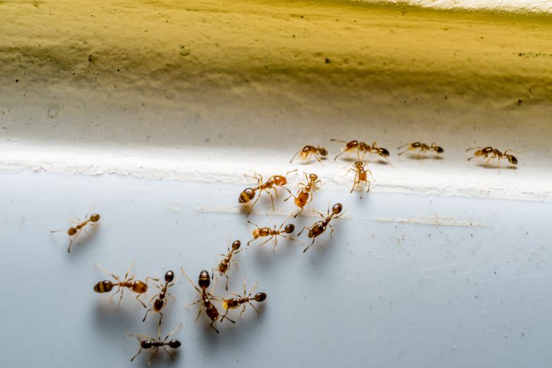
Ants extermination services for property owners in Cypress, TX, and nearby areas address ant infestations, prevent future invasions, and handle residential and commercial pest control projects.

Cypress, TX

Ants extermination services in Cypress, TX, are essential for property owners seeking to maintain a comfortable and safe living environment. Infestations can disrupt daily routines and compromise the integrity of structures, making professional extermination a practical solution to eliminate these pests efficiently. By addressing ant problems promptly, property owners can enjoy a more functional space free from unwanted intruders, reducing the risk of damage and minimizing ongoing maintenance needs.

Engaging with local pest control providers for ant extermination also offers benefits related to curb appeal and long-term durability. A pest-free property appears well-maintained and inviting, enhancing overall aesthetic value. Additionally, professional treatments help ensure that ant issues are resolved thoroughly, leading to a more durable and resilient property that requires less frequent interventions over time.

Get Ants Extermination Service Quotes

  • Ants Extermination - needed when ant colonies invade homes or commercial properties in Cypress, TX and surrounding areas.
  • Ants Extermination - essential for preventing ongoing infestations in kitchens, pantries, or other areas where ants are active.
  • Ants Extermination - required when outdoor ant mounds threaten to spread into nearby residential or business locations.
  • Ants Extermination - sought after when ants are observed in garden beds, lawns, or landscaping around properties.
  • Ants Extermination - necessary for addressing persistent ant problems that interfere with daily activities or property maintenance.

Get Ants Extermination Service Quotes

Ants Extermination Service
Ants Extermination Service
Ants Extermination Service

Ants extermination services involve the identification and elimination of ant infestations within residential, commercial, or industrial properties. Professionals typically conduct thorough inspections to determine the extent of the problem and identify the specific species involved. Treatment methods may include targeted applications of insecticides, baiting systems, and barriers designed to disrupt ant colonies and prevent future invasions. The goal is to effectively remove existing ants and reduce the likelihood of recurring issues through strategic and safe pest management practices.

Ant problems can cause significant discomfort and property damage, especially when colonies establish themselves indoors or in structural areas. Common issues include unsightly trails, nesting in walls or foundations, and contamination of food supplies. In some cases, ant infestations can attract other pests or lead to secondary issues such as mold growth due to moisture build-up around nests. Professional extermination services help address these problems by eliminating colonies at the source, reducing nuisance, and protecting the integrity of the property.

Various types of properties utilize ants extermination services, including single-family homes, apartment complexes, restaurants, and retail stores. Residential properties often seek treatment to safeguard food storage and maintain a clean living environment. Commercial properties, especially those involved in food handling or service, prioritize pest control to meet health regulations and ensure customer satisfaction. Industrial facilities may also require specialized treatments to manage larger or more persistent ant colonies, especially in areas where sanitation and structural integrity are critical.

Engaging with local pest control providers for ants extermination ensures tailored solutions suited to the specific needs of each property. These professionals assess the unique conditions of the location, identify the ant species involved, and recommend appropriate treatment plans. Regular inspections and follow-up treatments may be part of ongoing pest management strategies to maintain a pest-free environment. Contacting experienced service providers can help property owners effectively manage ant issues and maintain a clean, safe space.

The overview below groups typical Ants Extermination Service projects into broad ranges so you can see how smaller, mid-sized, and larger jobs often compare in Cypress, TX.

In many markets, a large share of routine jobs stays in the lower and middle ranges, while only a smaller percentage of projects moves into the highest bands when the work is more complex or site conditions are harder than average.

Initial Inspection - The cost for an ant inspection typically ranges from $50 to $150, depending on property size and complexity. This fee may be credited toward treatment if ants are found and treated.

Basic Treatment - A standard ant extermination service usually costs between $100 and $300 for a single treatment. Larger properties or severe infestations may increase the price slightly.

Monthly Maintenance - Ongoing ant control plans can range from $30 to $75 per month, providing regular treatments to prevent future infestations. These plans often include multiple visits and treatments.

Emergency or One-Time Service - One-time extermination services for urgent ant problems typically fall between $150 and $400, depending on the severity and extent of the infestation. Prices vary based on the treatment method and property size.

Actual totals will depend on details like access to the work area, the scope of the project, and the materials selected, so use these as general starting points rather than exact figures.

Get an Ants Extermination Service Quote

Ants Extermination services connect homeowners with local pest control professionals experienced in effective ant removal techniques. These experts can assess the extent of ant infestations and recommend appropriate treatment options.

Residential Ant Control providers specialize in eliminating ant colonies within homes, ensuring a safe and pest-free living environment for residents. They utilize targeted methods to address common household ant issues.

Commercial Ant Extermination services help business owners manage ant problems that can affect customer experience and property hygiene. Local pros offer tailored solutions suitable for various commercial settings.

Eco-Friendly Ant Treatments specialists focus on environmentally conscious methods to control ant populations without harmful chemicals, suitable for sensitive environments like homes with children or pets.

Ant Prevention Services providers implement strategies to reduce the likelihood of future ant invasions through sealing entry points and habitat modification. These services aim to maintain long-term ant control.

Emergency Ant Pest Removal services are available for urgent ant infestations that require immediate attention, helping to quickly address unexpected outbreaks in residential or commercial properties.

Ants Extermination Service

When comparing local ants extermination service providers, experience is a key factor to consider. Pros with a proven track record in pest control often demonstrate familiarity with common ant species and effective treatment methods specific to the Cypress, TX area. Consumers can look for details about how long a provider has been operating, the types of ant issues they have handled, and their familiarity with local building structures and environments. This background can help ensure that the selected professional understands the unique challenges posed by local pests and can tailor their approach accordingly.

Clear and written expectations are essential for a smooth service experience. Reputable local providers typically outline their treatment plans, what homeowners can expect during and after the service, and any preparations needed beforehand. Having this information in writing helps prevent misunderstandings and provides a transparent overview of the process. Homeowners should seek providers who communicate their services openly, providing detailed explanations about the methods used and any follow-up steps or maintenance recommendations.

Reputation and references from previous clients are valuable indicators of a provider’s reliability and quality of service. Pros with established reputations often have positive feedback from local homeowners and can provide references upon request. Additionally, good communication skills-such as responsiveness, clarity, and professionalism-are important qualities that contribute to a positive experience. While the information below introduces various local options, it is important to remember that it connects users with local pros and does not perform the extermination work itself. Evaluating these aspects can help homeowners select a pest control provider who is knowledgeable, transparent, and well-regarded within the community.

Get an Ants Extermination Service Quote

Property owners in Cypress, TX use Ants Extermination Service services for practical projects around their homes and businesses. The sections below highlight everyday jobs and straightforward project options.

Ants Extermination Service
Ants Extermination Service

Ants extermination services are often sought by property owners in Cypress, TX, dealing with common household ant issues. Whether ants are invading kitchens, pantry areas, or outdoor spaces, residents may look for professional assistance to effectively eliminate the problem. These services help address situations where ants have established nests within walls, under flooring, or around the foundation, preventing further infestation and damage.

Property owners might also seek ants extermination when noticing increased ant activity during warmer months or after recent construction or landscaping projects. Ants can be a nuisance, and their presence can indicate underlying issues that require professional intervention. Local service providers can offer targeted solutions to manage and prevent future ant problems, maintaining a pest-free environment.

Get an Ants Extermination Service Quote

How do ant extermination services work? Ant extermination services typically involve identifying the ant species, locating their nests, and applying targeted treatments to eliminate colonies and prevent future infestations.

Are ant treatments safe for pets and children? Most ant extermination methods are designed to be safe when applied properly; however, it is recommended to consult with local service providers about specific safety measures for households with pets or children.

How long does an ant extermination treatment take? The duration of treatment varies depending on the extent of the infestation and the methods used, but many services aim to complete initial treatments within a few hours.

Will I need multiple treatments to control ants? Some ant species may require multiple treatments to fully eradicate colonies and prevent re-infestation, depending on the severity of the problem.

How can I prevent future ant problems? Local pest control professionals can provide advice on reducing attractants, sealing entry points, and maintaining the property to minimize the chances of future ant issues.

Ants Extermination Solutions - Local service providers offer targeted treatments to eliminate ant infestations and prevent future issues.

Inspection and Identification - Professionals assess property conditions to identify ant species and determine the most effective extermination methods.

Residual and Bait Treatments - Service providers utilize various techniques, including baiting and residual sprays, to control ant populations effectively.

Preventive Advice - Experts recommend measures to reduce attractants and seal entry points, helping to keep ants from returning.

Ants Extermination Service

Considering Ants Extermination Service for a property in Cypress, TX? The sections above highlight common project types, practical options, and details that often shape the scope of work.

When you are ready, use the quote form to share a few details about your project. Local pros can review the basics and respond with options that match what you have in mind.

Get an Ants Extermination Service Quote

Ants Extermination Quotes

Our Trusted Partners
Cantu Pest Control
Orkin
Hawx Pest Control