Local Service Overview

Get Ants Extermination Service in Richmond, TX

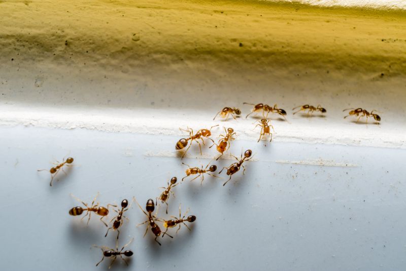
Ants extermination services for property owners in Richmond, TX, and nearby areas address ant infestations, prevent future invasions, and handle residential and commercial pest control projects.

Richmond, TX

Ants extermination services provide property owners in Richmond, TX with an effective solution to manage and eliminate ant infestations. These services help maintain a clean and comfortable living or working environment by preventing ants from invading homes, kitchens, and outdoor spaces. Proper extermination not only reduces the nuisance caused by ants but also helps protect property structures from potential damage, ensuring the durability and functionality of the property over time.

Choosing professional ant extermination can enhance curb appeal by keeping outdoor areas tidy and free of pests. Additionally, addressing ant problems promptly can minimize ongoing maintenance needs and prevent future infestations. Property owners often seek these services to create a safer, more inviting environment, safeguarding their investment and ensuring peace of mind.

Get Ants Extermination Service Quotes

  • Ants Extermination Services are needed when homeowners notice ant trails or nests inside or around their property.
  • Commercial properties in areas like Richmond, TX may require ant control to maintain a pest-free environment for employees and visitors.
  • Ant control services are essential when ants invade kitchens, pantries, or food storage areas, posing health concerns.
  • Residential properties experiencing persistent ant activity despite basic cleaning may benefit from professional extermination.
  • Ants Extermination Services are useful in outdoor spaces where ant colonies threaten gardens, lawns, or landscape features.

Get Ants Extermination Service Quotes

Ants Extermination Service
Ants Extermination Service
Ants Extermination Service

Ants extermination services involve the identification and elimination of ant colonies within residential, commercial, or industrial properties. Professionals assess the extent of the infestation, locate nests, and apply targeted treatments to eradicate ants effectively. The process may include the use of baits, sprays, and dusts designed to eliminate both the visible ants and their hidden colonies, helping to restore a pest-free environment. These services are tailored to address the specific types of ants present, ensuring that the treatment is both safe and effective for the property.

Ant infestations can pose various problems, from property damage to health concerns. Certain species of ants, such as carpenter ants, are known to cause structural damage by hollowing out wood, while others may contaminate food supplies or trigger allergic reactions. An ant infestation can also lead to increased frustration and discomfort for residents or employees. Professional extermination services help to resolve these issues by removing the pests and implementing preventative measures to reduce the risk of future invasions.

Properties that typically utilize ant extermination services include single-family homes, apartment complexes, restaurants, and retail stores. In residential settings, ant control is often sought to protect food storage areas and maintain a clean living environment. Commercial properties, especially those involved in food service or retail, require regular pest management to meet health and safety standards. Additionally, warehouses and storage facilities may hire pest control providers to prevent ants from damaging stored goods or contaminating products.

Engaging with local pest control providers for ant extermination ensures that the specific needs of each property are addressed by experienced professionals. These experts can evaluate the severity of an infestation, recommend suitable treatment options, and provide guidance on preventing future problems. Property owners and managers seeking effective ant control solutions can contact local service providers to discuss their pest management needs and schedule treatments tailored to their property type.

The overview below groups typical Ants Extermination Service projects into broad ranges so you can see how smaller, mid-sized, and larger jobs often compare in Richmond, TX.

In many markets, a large share of routine jobs stays in the lower and middle ranges, while only a smaller percentage of projects moves into the highest bands when the work is more complex or site conditions are harder than average.

Per-Visit Fees - Ant extermination services often charge between $100 and $300 per visit, depending on the extent of the infestation and property size. Some providers may offer a single-treatment option within this range. Costs can vary based on the severity of the ant problem.

Initial Inspection Costs - A typical inspection might cost around $50 to $150, which is sometimes included in the overall treatment package. This fee covers the assessment of ant activity and identification of entry points. Additional treatments usually incur separate charges.

Treatment Package Prices - Comprehensive ant control packages generally range from $200 to $600 for multiple treatments. These packages may include baiting, residual sprays, and follow-up visits to ensure effectiveness. Prices depend on property size and ant species.

Monthly Maintenance Fees - Ongoing pest management plans can cost between $50 and $100 per month. These plans typically include regular inspections and treatments to prevent future ant infestations. The cost varies with the level of service and property requirements.

Actual totals will depend on details like access to the work area, the scope of the project, and the materials selected, so use these as general starting points rather than exact figures.

Get an Ants Extermination Service Quote

Ants Extermination - Local pest control providers offer targeted solutions to eliminate ant colonies and prevent future infestations in residential and commercial properties.

Ants Prevention - Service providers can implement preventative measures to reduce the likelihood of ant invasions around homes and businesses in Richmond, TX, and nearby areas.

Ants Inspection - Professionals conduct thorough inspections to identify ant activity, nesting sites, and entry points to develop effective treatment plans.

Ants Baiting - Local pros utilize baiting systems to attract and eliminate ants at the source, helping to control colonies efficiently.

Ants Barrier Treatments - Service providers apply barrier treatments around structures to block ants from entering and establishing nests.

Ants Removal - Experts provide removal services to eradicate existing ant infestations and restore pest-free environments.

Ants Extermination Service

When comparing local ant extermination service providers, experience is an important factor to consider. Pros with a proven track record in pest control often have a better understanding of ant behavior and effective treatment methods specific to the Richmond, TX area. Looking into how long a provider has been operating and their familiarity with local ant species can help ensure that the service will be tailored to address the unique challenges of the region.

Clear and written expectations are essential when choosing a pest control provider. Reputable professionals typically outline the scope of work, the methods they intend to use, and any preparations or follow-up steps required. This helps homeowners understand what to expect from the service and ensures transparency throughout the process, reducing potential misunderstandings or surprises.

Reputation and communication are key indicators of a reliable pest control provider. Local pros with positive references or reviews from previous clients can offer insights into their professionalism and effectiveness. Additionally, responsive and transparent communication from the service provider can make the process smoother, providing homeowners with confidence that their concerns will be addressed and that the service will be conducted professionally.

Get an Ants Extermination Service Quote

Property owners in Richmond, TX use Ants Extermination Service services for practical projects around their homes and businesses. The sections below highlight everyday jobs and straightforward project options.

Ants Extermination Service
Ants Extermination Service

Ants extermination services are commonly sought after by property owners in Richmond, TX, when they notice persistent ant activity around their homes or businesses. Common situations include discovering ant trails in kitchens, bathrooms, or outdoor areas, especially during warmer months when ants are more active. Property owners may also seek professional assistance after attempting DIY methods that do not fully eliminate the infestation or when ants begin to invade stored food or other areas, causing concern about hygiene and property damage.

In addition to immediate infestations, property owners may contact local ant extermination providers to prevent future problems. This is often the case in properties with ongoing landscaping or construction that can create entry points for ants. Regular inspections and targeted treatments can help maintain a pest-free environment, especially in areas prone to ant activity due to nearby vegetation or moisture. Connecting with experienced local professionals can assist in addressing these everyday project situations effectively.

Get an Ants Extermination Service Quote

How do ant extermination services work? Ant extermination services typically involve inspecting the property to identify ant colonies, applying targeted treatments to eliminate existing ants, and implementing preventive measures to reduce future infestations. Local service providers customize approaches based on the ant species and the extent of the problem.

Are ant extermination treatments safe for pets and children? Many ant extermination methods are designed to be safe around pets and children when applied by professionals. It is recommended to follow the advice of local pros regarding safety precautions during and after treatment.

How long does an ant extermination service usually take? The duration of ant extermination services can vary depending on the severity of the infestation and the treatment methods used. Typically, treatments can be completed within a few hours, with follow-up inspections if necessary.

Will I need multiple treatments to control an ant problem? Some ant infestations may require more than one treatment to fully eliminate the colony and prevent re-infestation. Local extermination providers can advise on the likely number of treatments needed based on the situation.

How can I prevent future ant problems? Preventive measures often include maintaining clean and dry environments, sealing entry points, and removing food sources. Local service providers can recommend specific strategies tailored to the property to help keep ants out.

Ants Extermination Solutions - Local service providers offer targeted treatments to eliminate ant infestations and prevent future outbreaks.

Inspection and Identification - Pros can assess property conditions to identify ant entry points and nesting areas for effective removal strategies.

DIY Prevention Tips - Experts can share advice on sealing entry points and maintaining clean environments to reduce ant attractants.

Ongoing Monitoring and Maintenance - Service providers can establish plans for regular inspections to ensure ants do not return.

Ants Extermination Service

Considering Ants Extermination Service for a property in Richmond, TX? The sections above highlight common project types, practical options, and details that often shape the scope of work.

When you are ready, use the quote form to share a few details about your project. Local pros can review the basics and respond with options that match what you have in mind.

Get an Ants Extermination Service Quote

Ants Extermination Quotes

Our Trusted Partners
Cantu Pest Control
Orkin
Hawx Pest Control