Local Service Overview

Get Ants Extermination Service in Pasadena, TX

Ants extermination services for property owners in Pasadena, TX, and nearby areas address ant infestations, prevent future invasions, and handle residential and commercial pest control projects.

Pasadena, TX

Ants extermination services in Pasadena, TX are essential for property owners seeking to maintain a comfortable and safe living environment. Ant infestations can lead to damage to structures, contamination of food supplies, and increased maintenance costs. Professional extermination helps eliminate existing colonies effectively, reducing the risk of future invasions and ensuring that homes and businesses remain functional and free from pests that can compromise daily activities.

Choosing expert ant control also enhances curb appeal by preventing unsightly trails and nests from marring the appearance of a property. Additionally, a thorough extermination service can contribute to the durability of structures by preventing pest-related damage. Property owners often look for solutions that provide long-lasting results, minimize ongoing pest issues, and support the overall safety and attractiveness of their property in Pasadena, TX.

Get Ants Extermination Service Quotes

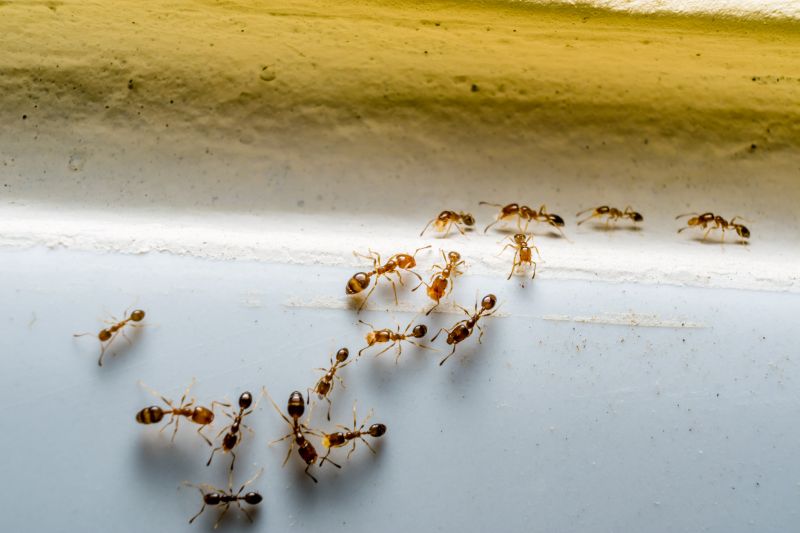
  • Ants Extermination - Needed when ants invade kitchens, pantries, or other indoor spaces in Pasadena, TX and surrounding areas.
  • Ants Extermination - Required when outdoor ant colonies threaten to spread into residential yards and gardens nearby.
  • Ants Extermination - Sought after when persistent ant trails appear inside homes or commercial properties in nearby communities.
  • Ants Extermination - Necessary when new ant activity is detected after previous treatments in neighborhoods around Pasadena, TX.
  • Ants Extermination - Essential when multiple ant species invade during warmer months in residential and business areas in the region.

Get Ants Extermination Service Quotes

Ants Extermination Service
Ants Extermination Service
Ants Extermination Service

Ants extermination services involve identifying and eliminating ant colonies within residential, commercial, or industrial properties. Professionals typically conduct thorough inspections to locate nests and entry points, utilizing targeted treatments to eradicate existing ant populations. These services often include the application of insecticides or baiting systems designed to disrupt the ants' foraging and reproductive cycles, ensuring a comprehensive approach to pest control. The goal is to reduce ant activity and prevent future infestations, creating a more comfortable and hygienic environment for property occupants.

Ants can pose a variety of problems for property owners, ranging from nuisance and minor inconveniences to potential health concerns. Certain ant species, such as fire ants, can inflict painful stings that may cause allergic reactions, while others like carpenter ants can damage wood structures over time. Additionally, ants often seek out food sources in kitchens and pantries, contaminating food supplies and surfaces. Effective extermination services help address these issues by removing active colonies and implementing preventative measures to minimize the risk of recurring infestations.

These extermination services are commonly utilized in a wide range of property types, including single-family homes, apartment complexes, restaurants, and retail establishments. Residential properties often seek ant control to maintain comfort and hygiene, especially in kitchens and outdoor spaces. Commercial properties, particularly food service businesses, prioritize pest management to meet health standards and prevent disruptions. Industrial facilities may also require specialized treatments to protect large-scale operations from pest-related issues, ensuring safety and compliance.

Professional ant extermination services typically involve customized treatment plans tailored to the specific property and infestation severity. Service providers may use a combination of baiting, residual insecticides, and physical barriers to eliminate colonies and prevent new ones from forming. Regular inspections and follow-up treatments are often recommended to maintain pest-free conditions over time. Contacting local pest control professionals can help property owners find effective solutions designed to address their unique ant-related challenges.

The overview below groups typical Ants Extermination Service projects into broad ranges so you can see how smaller, mid-sized, and larger jobs often compare in Pasadena, TX.

In many markets, a large share of routine jobs stays in the lower and middle ranges, while only a smaller percentage of projects moves into the highest bands when the work is more complex or site conditions are harder than average.

Per-Infestation Cost - Ant extermination services typically range from $150 to $300 for initial treatments targeting a single infestation. Larger or more severe infestations may cost between $300 and $600. Costs can vary based on the extent of the ant problem and property size.

Per-Visit Fees - Many service providers charge between $100 and $250 per visit for ant control treatments. Multiple visits might be necessary for ongoing or extensive ant issues, with total costs reaching $400 to $800. Prices depend on the complexity of the infestation and treatment area.

Treatment Type Costs - Chemical treatments generally cost between $150 and $350, while baiting systems can range from $200 to $500. The choice of treatment influences the overall expense, depending on the ant species and infestation severity.

Maintenance and Follow-Up - Follow-up treatments or ongoing maintenance services often cost $100 to $200 per session. Regular inspections and treatments may be recommended to prevent future ant problems, with total costs varying based on frequency and property size.

Actual totals will depend on details like access to the work area, the scope of the project, and the materials selected, so use these as general starting points rather than exact figures.

Get an Ants Extermination Service Quote

Ants Extermination services connect homeowners with local pest control providers specializing in effective ant removal solutions. These professionals assess infestations and implement targeted treatments to eliminate ant colonies.

Residential Ant Control providers focus on safeguarding homes from ant invasions through customized treatment plans tailored to specific property needs. They help prevent future ant problems with ongoing maintenance options.

Commercial Ant Extermination services assist business owners in managing ant issues that can disrupt operations or affect customer experience. Local pros offer discreet and efficient solutions suitable for various commercial environments.

Eco-Friendly Ant Treatments options are available through specialists who utilize less invasive methods to control ant populations while minimizing chemical use. These services are suitable for sensitive environments like homes with children or pets.

Emergency Ant Pest Control providers offer rapid response services for urgent ant infestations that require immediate attention to prevent further spread. Local experts are equipped to handle sudden and severe ant problems.

Preventive Ant Management services aim to identify potential entry points and apply preventative measures to keep ants from returning. These services help maintain long-term pest-free living or working spaces.

Ants Extermination Service

When evaluating ant extermination services, experience is a key factor to consider. Homeowners should look for local professionals with a proven track record in pest control, particularly in handling ant infestations similar to their own. Reputable providers often highlight their years of service and expertise in managing different types of ant problems, giving homeowners confidence in their ability to deliver effective solutions.

Clear and written expectations are essential for a successful pest control experience. Pros should provide detailed service descriptions, outlining what treatments will be performed, any preparations needed beforehand, and follow-up procedures if necessary. Having this information in writing helps ensure transparency and aligns homeowner and provider expectations from the outset, reducing potential misunderstandings.

Reputable references and effective communication are vital when choosing a local pest control provider. Homeowners are encouraged to seek out reviews or testimonials from previous clients to gauge the quality of service. Additionally, responsive and straightforward communication from the service provider can facilitate a smoother process, allowing homeowners to ask questions and receive clear guidance throughout the extermination process.

Get an Ants Extermination Service Quote

Property owners in Pasadena, TX use Ants Extermination Service services for practical projects around their homes and businesses. The sections below highlight everyday jobs and straightforward project options.

Ants Extermination Service
Ants Extermination Service

Ants extermination services are commonly sought by property owners in Pasadena, TX, facing persistent ant infestations that disrupt daily life. These pests can invade kitchens, pantries, and outdoor spaces, making it important to address the issue promptly to maintain a comfortable and clean environment. Local service providers offer solutions tailored to the specific needs of homes and businesses, helping property owners manage ant problems effectively.

In addition to preventing property damage, ants can pose health concerns by contaminating food and surfaces. Property owners may seek extermination services to eliminate colonies that have established themselves around foundations, gardens, or entry points. Connecting with experienced local professionals can assist in implementing targeted treatments and strategies to keep ant populations under control and protect the property’s integrity.

Get an Ants Extermination Service Quote

How do ant extermination services work? Ant extermination services typically involve inspecting the property, identifying ant species and entry points, and applying targeted treatments to eliminate colonies and prevent future infestations.

Are ant extermination treatments safe for pets and children? Most professional ant treatments are designed to be safe when applied properly; however, it is recommended to discuss any safety concerns with the local service provider.

How long does an ant extermination treatment take? The duration of an ant extermination service varies depending on the extent of the infestation and treatment methods used, but most treatments can be completed within a few hours.

Will I need multiple treatments for a persistent ant problem? Some ant infestations may require multiple treatments to fully eliminate all colonies and prevent recurrence, which can be discussed with the local pest control provider.

How can I prevent future ant infestations? Preventative measures include keeping the property clean, sealing entry points, and working with local pros to identify and address potential attractants or nesting sites.

Ants Extermination Solutions - Local service providers offer targeted treatments to eliminate ants and prevent future infestations.

Inspection and Identification - Pros can assess property conditions to identify ant entry points and nesting areas for effective removal.

Preventive Measures - Experts recommend sealing cracks and removing attractants to reduce the likelihood of ant re-infestation.

Ongoing Monitoring - Regular inspections by local specialists help maintain ant-free environments and address new issues promptly.

Ants Extermination Service

Considering Ants Extermination Service for a property in Pasadena, TX? The sections above highlight common project types, practical options, and details that often shape the scope of work.

When you are ready, use the quote form to share a few details about your project. Local pros can review the basics and respond with options that match what you have in mind.

Get an Ants Extermination Service Quote

Ants Extermination Quotes

Our Trusted Partners
Cantu Pest Control
Orkin
Hawx Pest Control